
-

Debris starts to fly as Hurricane Melissa fast approaches Jamaica
06:22
-

Couple on their honeymoon speaks about sheltering in Jamaica resort during Hurricane Melissa
04:27
-
Now Playing

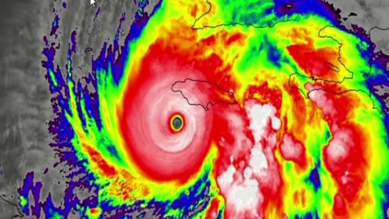
‘Little that can stop a Category 5’: Jamaican officials warn to seek shelter
01:06
-
UP NEXT

American stranded in Jamaica describes ‘nerve-wracking’ situation awaiting Hurricane Melissa
02:46
-

Trump could send ‘more than the National Guard’ to U.S. cities
02:40
-

Trump promises pay raise to U.S. service members
01:05
-

Trump ally Milei wins big in Argentina’s midterm election
02:27
-

Park rangers cracking down on illegal BASE jumping at Yosemite amid government shutdown
02:39
-

Teen handcuffed after AI system mistakes bag of chips for gun
02:48
-

‘We couldn’t get a flight out’: American stuck in Jamaica ahead of Hurricane Melissa
02:35
-

Amazon reportedly set to announce massive layoffs
02:09
-

Family faces potential deportation and separation after over a decade in the U.S.
04:39
-

Former deputy says lethal force was necessary to stop threat he perceived from Sonya Massey
03:39
-

Lawmakers need ‘genuine’ conversations to end government shutdown, says House Democrat
07:11
-

Ontario Premier Doug Ford: Reagan is ‘spinning around in his grave’ over Trump’s tariff policy
08:01
-

Trump says he had an MRI during October Walter Reed visit
00:47
-

Former Illinois deputy on trial for Sonya Massey’s death takes the stand
02:26
-

The pros and cons of paying with cash for medical care
03:00
-

Minnesota man arrested for alleged murder-for-hire threat against AG Pam Bondi
02:14
-

Study investigates the mysteries of lights in the sky by looking to the past
07:10
NBC News NOW
-

Debris starts to fly as Hurricane Melissa fast approaches Jamaica
06:22
-

Couple on their honeymoon speaks about sheltering in Jamaica resort during Hurricane Melissa
04:27
-
Now Playing

‘Little that can stop a Category 5’: Jamaican officials warn to seek shelter
01:06
-
UP NEXT

American stranded in Jamaica describes ‘nerve-wracking’ situation awaiting Hurricane Melissa
02:46
-

Trump could send ‘more than the National Guard’ to U.S. cities
02:40
-

Trump promises pay raise to U.S. service members
01:05
References
- ^ Get more news
Live on (www.nbcnews.com) - ^ Get more news
Live on (www.nbcnews.com)